Objektdaten
Objektbeschreibung
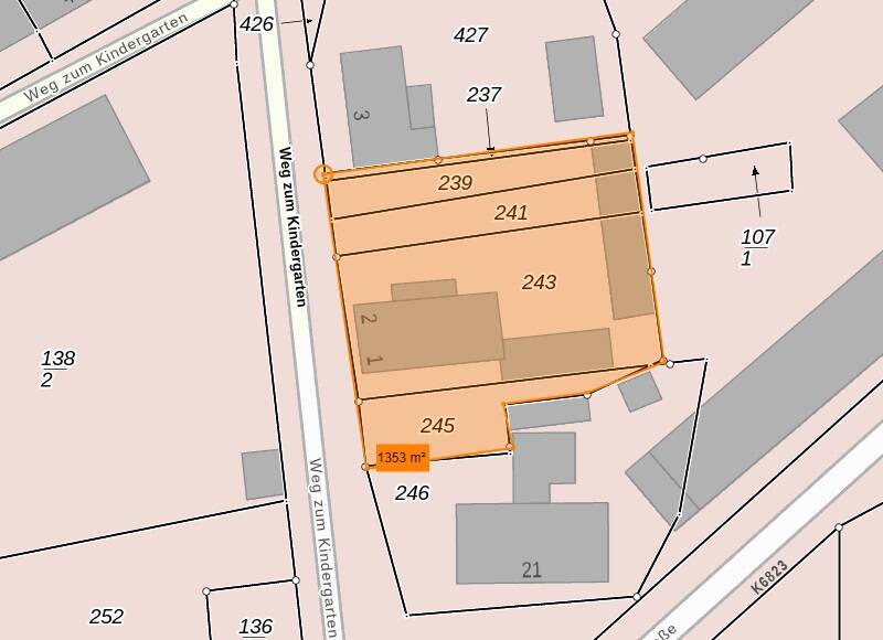
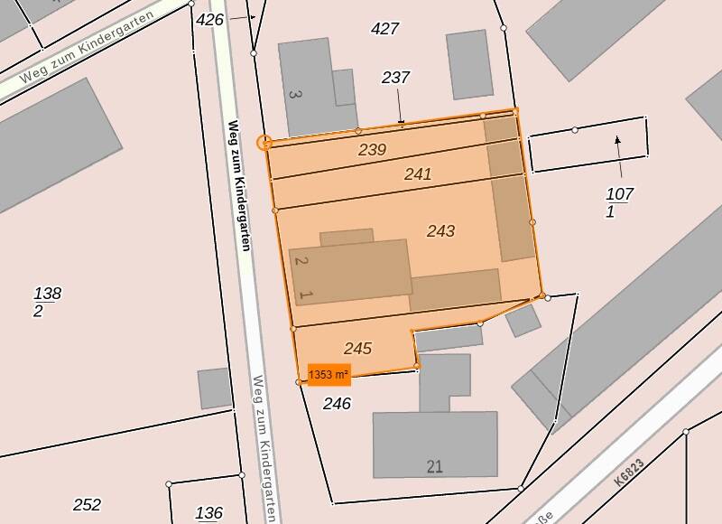
Zum Verkauf steht ein gepflegtes Einfamilienhaus mit einer Wohnfläche von ca. 160 m² auf einem weitläufigen Grundstück von ca. 1.340 m². Das Anwesen überzeugt durch eine solide Bauweise, eine durchdachte Raumaufteilung sowie umfangreiche Modernisierungen und Sanierungen in den vergangenen Jahrzehnten.Neben dem Wohnhaus befindet sich ein massiv errichtetes Nebengelass mit vielseitigen Nutzungsmöglichkeiten – von Garage und Werkstatt bis hin zu Lager- und Freizeitflächen. Der Zustand des gesamten Objekts ist als sehr gepflegt zu bezeichnen, sichtbare bauliche Mängel liegen nicht vor.Das Einfamilienhaus bietet Ihnen und Ihrer Familie ein modernes, solides Zuhause mit großzügigem Platzangebot – sowohl im Innen- als auch im Außenbereich. Dank der bereits durchgeführten Sanierungen und Renovierungen befindet sich das Haus in einem sehr guten Zustand. Die Kombination aus Wohnhaus, Wintergarten, Nebengelass und großem Grundstück macht dieses Anwesen zu einer attraktiven Immobilie mit vielen Möglichkeiten.So funktioniert es
- Alle neuen Anzeigen matchen wir kostenlos mit Deinen Suchparametern.
- Passende Angebote senden wir Dir in einer E-Mail pro Tag.
- Du kannst auch verschiedene Suchen anlegen und Dich jederzeit abmelden. Mehr dazu




