Kaufpreis 2.275.000 €
22609 Hamburg
Objektdaten
Veröffentlicht am: 21. Januar 2026
Danke! Bitte bestätige Deine E-Mail-Adresse – wir haben Dir soeben eine Mail geschickt.
Es gab ein Problem beim Absenden. Bitte versuche es erneut.
Bitte bestätige Deine E-Mail-Adresse, um Updates zu erhalten.
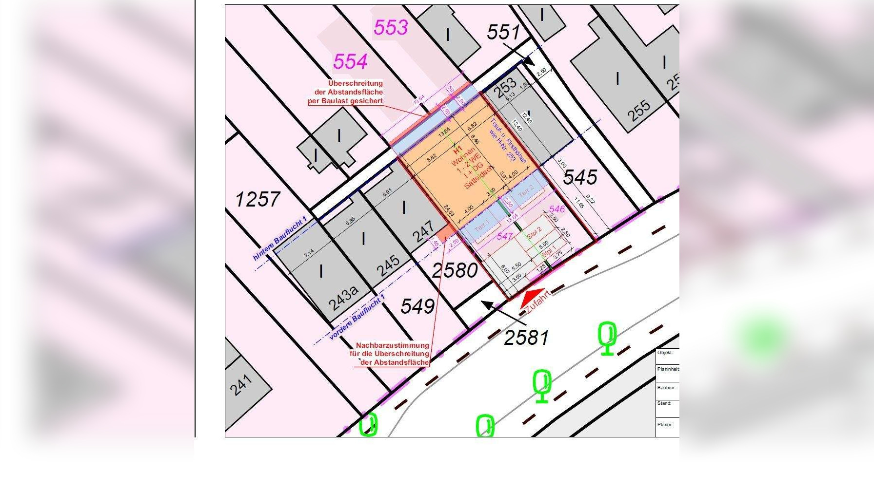
Objektbeschreibung
In begehrter, sehr guter Wohnlage von Hamburg-Nienstedten steht dieses attraktive Baugrundstück zum kurzfristigen Erwerb zur Verfügung. Für die Bebauung liegt eine Baugenehmigung für ein Mehrfamilienhaus und für ein Einfamilienhaus (Pfeifenstielgrundstück) vor.KEYFACTS.Top-Wohnlage in Hamburg-Nienstedten (am Ortskern und ca. 800 m zum Elbufer).Baugenehmigung für ein Mehrfamilienhaus und ein Einfamilienhaus liegt vor.schneller Baubeginn möglich.klare Kennzahlen (Kubaturen & Nettogrundfläche bereits definiert)GRUNDSTÜCK & BEBAUUNGSKONZEPT1) Mehrfamilienhaus - genehmigt.Gesamtkubatur: 1.732,65 m³.Netto-Grundfläche (NGF): 481,60 m² (auf alle Etagen betrachtet).Geschosse: Kellergeschoss, Erdgeschoss, Obergeschoss, Dachgeschoss.Bauweise: zweigeschossig möglich (gemäß Genehmigung / Planung)2) Einfamilienhaus (Pfeifenstielgrundstück) - genehmigt.Kubatur: 945,64 m³.Netto-Grundfläche (NGF): 227,73 m² (auf alle Etagen betrachtet).Geschosse: Kellergeschoss, Erdgeschoss, Dachgeschoss.Bauweise: eingeschossig möglich (gemäß Genehmigung / Planung)ALTBESTAND.muss käuferseitig abgerissen werden.auf dem vorderen Grundstücksbereich - Mehrfamilienhaus (ges. Wohnfläche ca. 280 m²).auf dem hinteren Grundstücksbereich - Garagenbau
So funktioniert es
- Alle neuen Anzeigen matchen wir kostenlos mit Deinen Suchparametern.
- Passende Angebote senden wir Dir in einer E-Mail pro Tag.
- Du kannst auch verschiedene Suchen anlegen und Dich jederzeit abmelden. Mehr dazu
Wir haben soeben eine E-Mail mit Deinem Suchauftrag an Dich geschickt. – Klicke in dieser Mail auf den Bestätigungslink und schon geht's los. Prüfe ggf. auch Deinen Spamordner.
Es gab ein Problem beim Absenden Deiner E-Mail-Adresse. Bitte versuche es erneut.
WARNUNG: Bitte bestätige Deine E-Mail-Adresse, um regelmäßige Updates zu erhalten.