Kaufpreis 138.305 €
36251 Bad Hersfeld
Objektdaten
Veröffentlicht am: 29. Januar 2026
Danke! Bitte bestätige Deine E-Mail-Adresse – wir haben Dir soeben eine Mail geschickt.
Es gab ein Problem beim Absenden. Bitte versuche es erneut.
Bitte bestätige Deine E-Mail-Adresse, um Updates zu erhalten.
Objektbeschreibung
Allgemeine Daten:
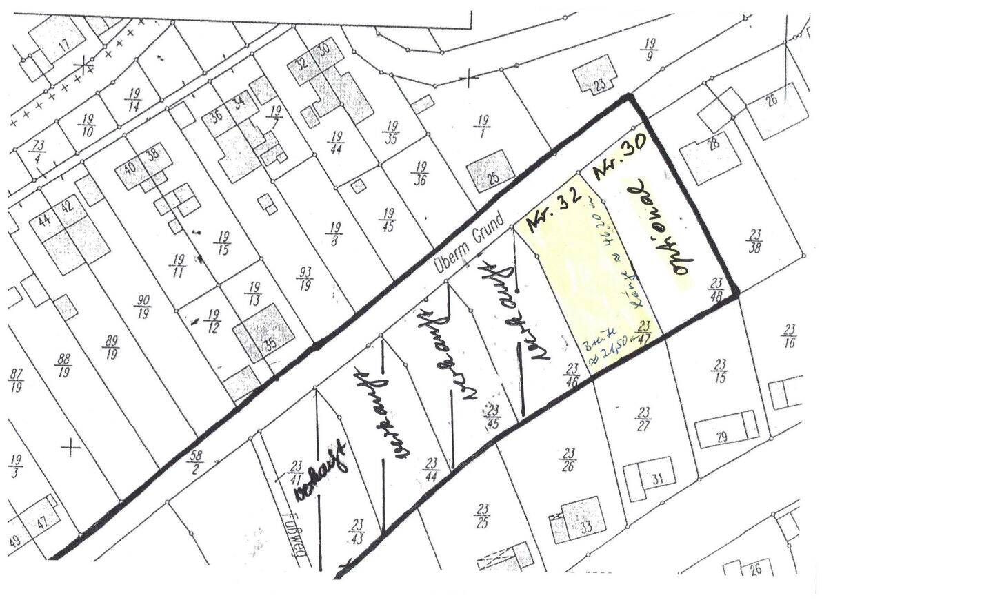
• Adresse: Überm Grund 32 in 36251 Bad Hersfeld
• Flur: 27
• Flurstück: 23/47
• Grundstücksfläche: 995 m²
• Grundstückslänge: rund 46,20 m, knickt bei 10,00 m ab
• Grundstücksbreite: rund 21,50 m
• Provision: provisionsfrei
Das Grundstück befindet sich im Stadtbereich von Bad Hersfeld.
Es ist ein Süd-West-Hang in einem seriösen Baugebiet „Überm Grund“.
Die Lage verbindet idyllisches Wohnen mit urbaner Nähe.
Traumhaftes Spekulationsgrundstück
- kein Bauzwang!
- ohne Baufrist
Sie können auch noch in 10 Jahren bauen! Provisionsfrei, freie Bebauung!
Jetzt kaufen, irgendwann bebauen.
Ideale Wertanlage bei weiterhin steigenden Immobilienpreisen und vorhandener Inflationsrate, sowie steigende Zinsen.
• Das Grundstück ist voll erschlossen, inkl. der Neuerstellung der Zufahrtsstraße. Es besteht kein Durchgangsverkehr.
• Alle Beitragsbescheide für die Erschließung und der Neuerstellung der Straße wurden bereits bezahlt und sind im Kaufpreis enthalten!
• Der gültige Bebauungsplan aus dem Jahre 1968 erlaubt eine vielfache Bebauung als:
- privates repräsentatives Wohnhaus
- Mehrfamilienhaus/Eigentumswohnungen, Mehrgenerationenhaus mit 4 Wohnungen
- Doppelhaus
- bei durch Käuferzusammenschluss reduzieren sich die Kaufpreise
• Es ist eine 2-geschossige bis 3-geschossige Bebauung erlaubt
• Eventuelle Bebauungsmöglichkeiten sind am städtischen Bauplanungsamt (Herr van Horrick) abklärbar.
• Es fallen keine Maklergebühren an. Kauf direkt vom Eigentümer!
• Die vorgeschriebenen Kanalanschlüsse für Schmutz- und Regenwasser sind bereits auf den Grundstücken vorhanden.
• Die Inanspruchnahme von den vorhandenen Stadtgasleitungen ist nicht vorgeschrieben. Aufgrund der Grundstücksgröße ist eine Erdwärmepumpe im hinteren Grundstück gut geeignet.
• Die wenigen vergleichbaren Grundstücke werden erheblich teurer angeboten!
• Es können 4 Wohnungen gebaut werden.
Machen Sie uns ein Angebot!
So funktioniert es
- Alle neuen Anzeigen matchen wir kostenlos mit Deinen Suchparametern.
- Passende Angebote senden wir Dir in einer E-Mail pro Tag.
- Du kannst auch verschiedene Suchen anlegen und Dich jederzeit abmelden. Mehr dazu
Wir haben soeben eine E-Mail mit Deinem Suchauftrag an Dich geschickt. – Klicke in dieser Mail auf den Bestätigungslink und schon geht's los. Prüfe ggf. auch Deinen Spamordner.
Es gab ein Problem beim Absenden Deiner E-Mail-Adresse. Bitte versuche es erneut.
WARNUNG: Bitte bestätige Deine E-Mail-Adresse, um regelmäßige Updates zu erhalten.