Kaufpreis 595.000 €
78337 Öhningen
Objektdaten
Veröffentlicht am: 22. Februar 2026
Danke! Bitte bestätige Deine E-Mail-Adresse – wir haben Dir soeben eine Mail geschickt.
Es gab ein Problem beim Absenden. Bitte versuche es erneut.
Bitte bestätige Deine E-Mail-Adresse, um Updates zu erhalten.
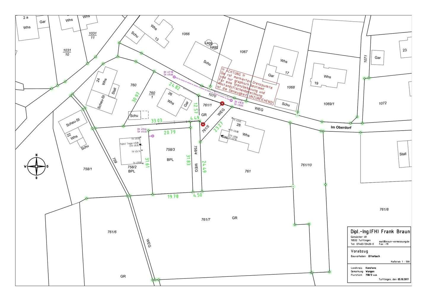
Objektbeschreibung
Das attraktive Baugrundstück mit einer Fläche von 647 m² befindet sich in gefragter Wohnlage auf der Halbinsel Höri (Gemeinde Öhningen, Ortsteil Wangen) und zählt zu den selten verfügbaren Bauflächen in dieser nachhaltig nachgefragten Bodenseeregion. Die Bebaubarkeit erfolgt gemäß § 34 BauGB und orientiert sich an der umliegenden Nachbarbebauung. Dadurch eröffnen sich flexible Nutzungsmöglichkeiten, unter anderem für ein Einfamilienhaus, ein Zweifamilienhaus oder ein Mehrgenerationen- bzw. kombiniertes Wohn-/Arbeitskonzept. Die Lage eignet sich sowohl für Eigennutzerprojekte als auch für eine wertstabile Einzelprojektentwicklung.Ein wesentlicher Vorteil für Investoren ist der bereits hohe Erschließungsgrad:.Abwasserkanal inkl. Kontrollschacht .Frischwasseranschluss .Telekom-Kupferleitungbefinden sich bereits auf dem Grundstück.Der Stromanschluss liegt in der Straße und ist noch herzustellen; ein Glasfaseranschluss ist bis ca. 2028 geplant. .Geometererhebungen inkl. Höhenaufnahmen liegen vor und reduzieren Planungs- und Vorlaufzeiten.Die angrenzenden Flurstücke befinden sich teilweise im Eigentum der Gemeinde; ein Wegerecht ist gesichert. Optional besteht die Möglichkeit, ein benachbartes Gemeindegrundstück zur Gartennutzung zu pachten, was die Attraktivität für spätere Käufer zusätzlich erhöht.Die Lage profitiert von einer sehr guten Mikro-Infrastruktur mit fußläufig erreichbaren Einrichtungen des täglichen Bedarfs sowie einer guten ÖPNV-Anbindung. Die Kombination aus Seenähe, begrenztem Baulandangebot und stabiler Nachfrage macht dieses Grundstück zu einer nachhaltig werthaltigen Investition in einer der begehrtesten Wohnlagen am westlichen Bodensee.
So funktioniert es
- Alle neuen Anzeigen matchen wir kostenlos mit Deinen Suchparametern.
- Passende Angebote senden wir Dir in einer E-Mail pro Tag.
- Du kannst auch verschiedene Suchen anlegen und Dich jederzeit abmelden. Mehr dazu
Wir haben soeben eine E-Mail mit Deinem Suchauftrag an Dich geschickt. – Klicke in dieser Mail auf den Bestätigungslink und schon geht's los. Prüfe ggf. auch Deinen Spamordner.
Es gab ein Problem beim Absenden Deiner E-Mail-Adresse. Bitte versuche es erneut.
WARNUNG: Bitte bestätige Deine E-Mail-Adresse, um regelmäßige Updates zu erhalten.