Bauplatz für ein Einzelhaus imitten der Walddörfer in HH-Bergstedt
Kaufpreis 449.000 €
22395 Hamburg
Objektdaten
Veröffentlicht am: 17. Oktober 2025
Danke! Bitte bestätige Deine E-Mail-Adresse – wir haben Dir soeben eine Mail geschickt.
Es gab ein Problem beim Absenden. Bitte versuche es erneut.
Bitte bestätige Deine E-Mail-Adresse, um Updates zu erhalten.
Objektbeschreibung
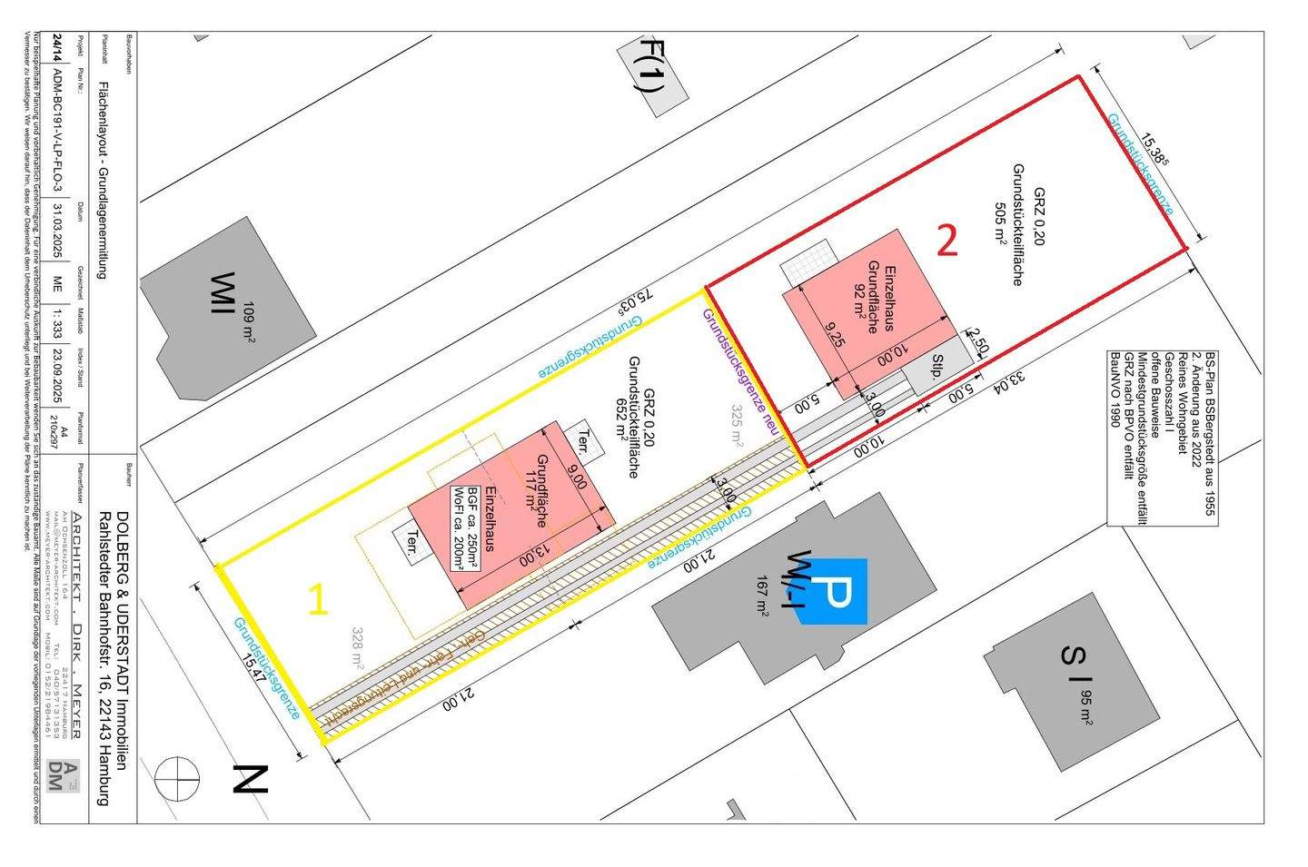
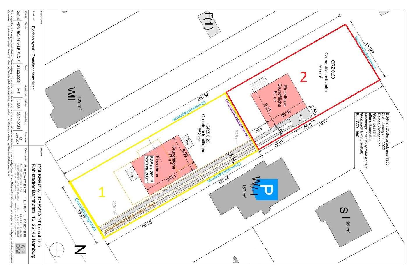
Dieses herrliche Baugrundstück befindet sich inmitten der schönen Walddörfer in zentraler Lage von Hamburg-Bergstedt. Aktuell ist es noch bebaut mit einem nicht erhaltungswürdigen Altbestand, einem Außenschwimmbecken und einem Gartenschuppen, die vor einer Neubebauung abgebrochen werden.Das Grundstück wurde bereits real in zwei getrennte neue Flurstücke aufgeteilt. Es ist ein vorderes und ein rückwärtiges Grundstück entstanden.Das Angebot bezieht sich auf das vordere, straßenseitige Grundstück Nr. 1. Dieses kann voraussichtlich mit einem Einfamilienhaus oder mit bis zu zwei Wohneinheiten bebaut werden.Der Vorteil des vorderen Grundstücks sind die geringeren Erschließungs- und Hausanschlusskosten. Das rückliegende Grundstück bekommt auf einer Breite von ca. 3 m entlang der östlichen Grundstücksgrenze ein Geh-/Fahr-/Wege- und Leitungsrecht eingeräumt, welches auch im Grundbuch abgesichert wird.Das Grundstück liegt im Bereich des Baustufenplans Bergstedt aus 1955 mit der 2. Änderung aus 2022.+ vorderes, straßenseitiges Grundstück Nr. 1+ ca. 652 m² großes Grundstück+ reale Grundstücksteilung+ Geh-, Fahr-, Wege- und Leitungsrecht für rückliegendes Grundstück+ voraussichtlich bebaubar mit einem Einzelhaus mit bis zu zwei Wohneinheiten+ maximal 1 Vollgeschoss zuzüglich ausgebautem Dachgeschoss+ voraussichtlich ca. 200 m² mit dem Gebäude bebaubar+ keine Altlastenverdachtsfläche+ keine störenden Bäume im Baufenster+ die Vermessungskosten sind hälftig von den Käufern zu tragenUnterlagen, die bereits vorliegen:+ positiver Bauvorbescheid+ Angebot für Abriss+ KampfmittelfreigabeBezüglich einer verbindlichen Auskunft zur Bebaubarkeit wenden Sie sich bitte direkt an das zuständige Bauamt in Wandsbek.Gerne bieten wir nach Absprache auch Grundstücksbegehungen an.Wir bitten von eigenständigen Begehungen des Grundstücks abzusehen.
Alle neuen Anzeigen matchen wir kostenlos mit Deinen Suchparametern.
Passende Angebote senden wir Dir in einer E-Mail pro Tag.
Du kannst auch verschiedene Suchen anlegen und Dich jederzeit abmelden. Mehr dazu
Wir haben soeben eine E-Mail mit Deinem Suchauftrag an Dich geschickt. – Klicke in dieser Mail auf den Bestätigungslink und schon geht's los. Prüfe ggf. auch Deinen Spamordner.
Es gab ein Problem beim Absenden Deiner E-Mail-Adresse. Bitte versuche es erneut.
WARNUNG: Bitte bestätige Deine E-Mail-Adresse, um regelmäßige Updates zu erhalten.
Sie sehen gerade einen Platzhalterinhalt von Turnstile. Um auf den eigentlichen Inhalt zuzugreifen, klicken Sie auf die Schaltfläche unten. Bitte beachten Sie, dass dabei Daten an Drittanbieter weitergegeben werden.
Sie sehen gerade einen Platzhalterinhalt von Vimeo. Um auf den eigentlichen Inhalt zuzugreifen, klicken Sie auf die Schaltfläche unten. Bitte beachten Sie, dass dabei Daten an Drittanbieter weitergegeben werden.
Sie sehen gerade einen Platzhalterinhalt von YouTube. Um auf den eigentlichen Inhalt zuzugreifen, klicken Sie auf die Schaltfläche unten. Bitte beachten Sie, dass dabei Daten an Drittanbieter weitergegeben werden.
Sie sehen gerade einen Platzhalterinhalt von Turnstile. Um auf den eigentlichen Inhalt zuzugreifen, klicken Sie auf die Schaltfläche unten. Bitte beachten Sie, dass dabei Daten an Drittanbieter weitergegeben werden.