Objektdaten
Objektbeschreibung
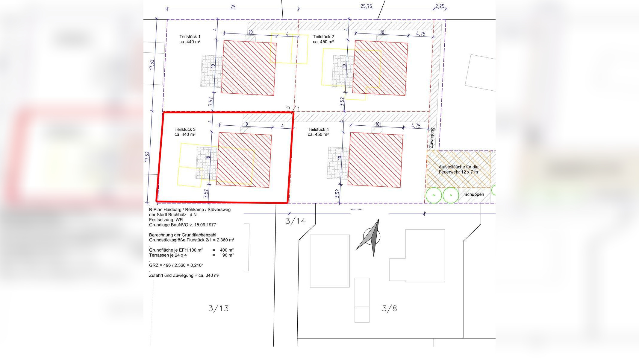
Das ca. 2.360 m² große Grundstück verfügt über eine eigene Zufahrt und einen rechteckigen Zuschnitt und bietet spannende Bebauungsmöglichkeiten. Grundsätzlich können Sie nach §34 BauGB planen, eine Baubindung besteht nicht. In der Nachbarschaft sind in jüngster Zeit verschiedene, ansprechende Neubauten entstanden. Eine Bebauung mit einem Einfamilien- / Zweifamilienhaus oder einem Doppelhaus ist denkbar. Eine positive Bauvoranfrage für zwei Doppelhäuser liegt bereits vor. Das Grundstück ist voll erschlossen, die Abrisskosten der Einfamilienhäuser aus den 60er Jahren sowie Baumrodung gehen zu Lasten des Käufers. Weitere Anträge zu einer Bauvoranfrage oder einer Baugenehmigung sind vom Kaufinteressenten im eigenen Namen zu stellen. Idealerweise eignet sich dieses Grundstück für zwei befreundete Familien oder zwei Generationen, die das Grundstück mit zwei Einfamilienhäusern bebauen möchten. Aber auch mehrere Familien können hier miteinander in zwei Doppelhäusern in ruhiger und zentrumsnaher Lage zusammen wohnen.So funktioniert es
- Alle neuen Anzeigen matchen wir kostenlos mit Deinen Suchparametern.
- Passende Angebote senden wir Dir in einer E-Mail pro Tag.
- Du kannst auch verschiedene Suchen anlegen und Dich jederzeit abmelden. Mehr dazu




