Objektdaten
Objektbeschreibung
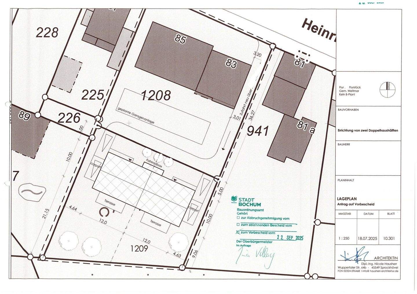
Das ruhig gelegene Baugrundstück in zweiter Reihe überzeugt durch sein grünes Umfeld und attraktive Bebauungsmöglichkeiten. Es liegt im Geltungsbereich des §34 BauGB, ein positiver Bauvorbescheid für die Errichtung von zwei Doppelhaushälften liegt bereits vor. Das großzügige Baufenster von ca. 10 x 24 m ermöglicht vielfältige Wohnkonzepte mit zwei Vollgeschossen plus Dachgeschoss. Auch die Realisierung eines Ein- oder Mehrfamilienhauses dürfte, nach Zustimmung des Bauordnungsamtes, ohne Weiteres möglich sein - ein ideales Grundstück für individuelle Wohnträume.Ähnliche Angebote
So funktioniert es
- Alle neuen Anzeigen matchen wir kostenlos mit Deinen Suchparametern.
- Passende Angebote senden wir Dir in einer E-Mail pro Tag.
- Du kannst auch verschiedene Suchen anlegen und Dich jederzeit abmelden. Mehr dazu




