Objektdaten
Objektbeschreibung
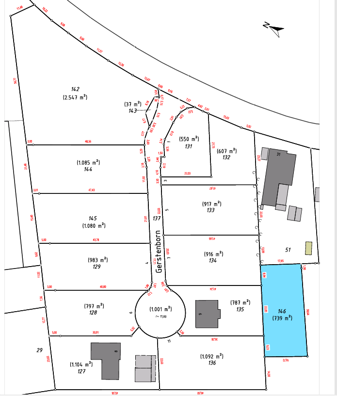
Dieses großzügige Grundstück mit einer Gesamtfläche von 1.623 m² bietet Bauherren und Investoren hervorragende Gestaltungsmöglichkeiten. Dank seiner attraktiven Baulückenlage können Sie hier Ihren individuellen Wohntraum verwirklichen. Die Bebauung richtet sich nach § 34 BauGB bzw. § 246e BauGB und orientiert sich an der bestehenden Nachbarbebauung. Eine verbindliche Abstimmung der konkreten Bauoptionen erfolgt durch den Käufer mit dem zuständigen Bauamt.Wasser, Strom und Gas liegen bereits in der Straße an. Der Abwasseranschluss befindet sich bereits auf dem Grundstück. Die Hausanschlusskosten für die Zuführung der Leitungen bis ins Haus trägt wie üblich der Käufer.Eine Bebauungsverpflichtung besteht nicht, sodass Sie Ihre Planungen flexibel und ohne Zeitdruck gestalten können. Die naturnahe Lage innerhalb einer ruhigen Gemeinde bietet ideale Voraussetzungen für ein entspanntes und familienfreundliches Wohnumfeld. Ob Einfamilienhaus, modernes Wohnkonzept oder großzügige Gartenplanung - die Grundstücksgröße eröffnet vielfältige Nutzungsmöglichkeiten.Provisionsfrei für den Käufer!So funktioniert es
- Alle neuen Anzeigen matchen wir kostenlos mit Deinen Suchparametern.
- Passende Angebote senden wir Dir in einer E-Mail pro Tag.
- Du kannst auch verschiedene Suchen anlegen und Dich jederzeit abmelden. Mehr dazu




