Objektdaten
Objektbeschreibung
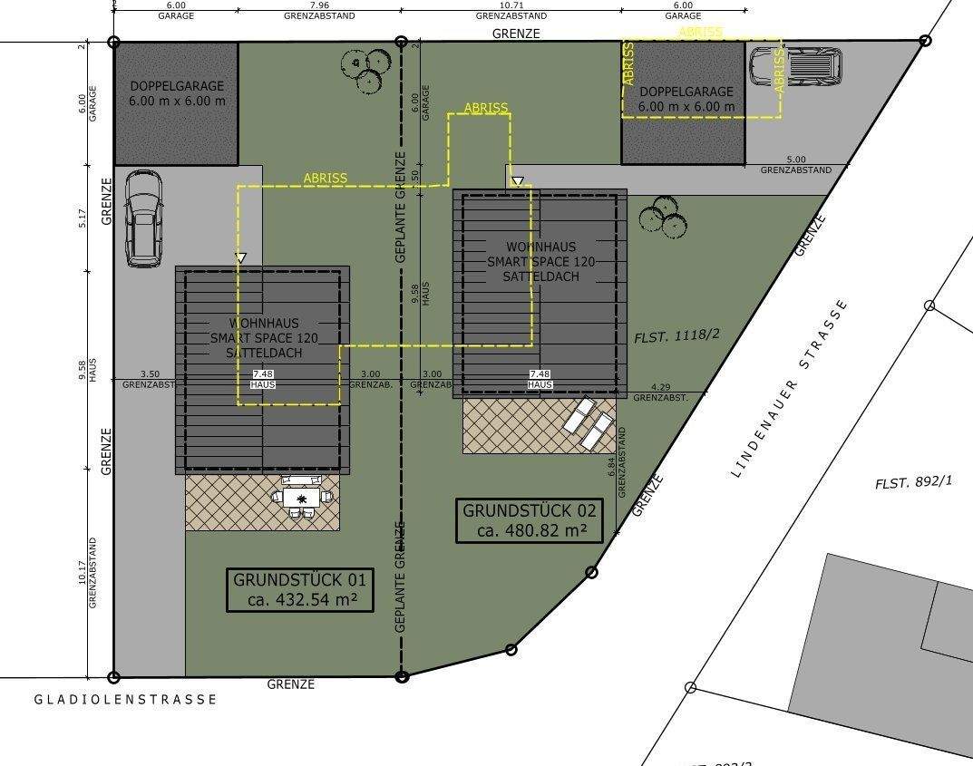
Das Grundstück befindet sich im Ort Ried bei Mering. Der Bauplatz fällt in den Geltungsbereich eines Bebauungsplanes. Zum Verkauf steht ein Grundstück zu 560 m² Grundstücksfläche.Das Grundstück wird erschlossen verkauft.Neugierig geworden? Melden Sie sich jederzeit gerne bei uns für einen Besichtigungs- oder Beratungstermin. Wir freuen uns auf Ihren Anruf!Bei diesem Objektbild handelt es sich um ein Beispielfoto.So funktioniert es
- Alle neuen Anzeigen matchen wir kostenlos mit Deinen Suchparametern.
- Passende Angebote senden wir Dir in einer E-Mail pro Tag.
- Du kannst auch verschiedene Suchen anlegen und Dich jederzeit abmelden. Mehr dazu



