Objektdaten
Objektbeschreibung
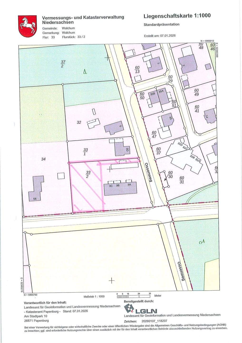
Diese Baugrundstück mit 22m Straßenfront,liegt am Obenende an der ruhigen Fahrradstraße.Das Grundstück ist nach Süden ausgerichtet.Im b-Plan , An den Kanälen `ist eine Bebauung inzweiter Reihe möglich.Somit können zwei Wohnhäuser errichtet werden.Auf dem Grundstück befindet sich ein Abbruch Objekt Es besteht die Möglichkeit im rückwertigem Bereichnoch weitere 1.600 m² Günland zu erwerben.So funktioniert es
- Alle neuen Anzeigen matchen wir kostenlos mit Deinen Suchparametern.
- Passende Angebote senden wir Dir in einer E-Mail pro Tag.
- Du kannst auch verschiedene Suchen anlegen und Dich jederzeit abmelden. Mehr dazu




