Attraktives Baugrundstück im Grünen – teilbar, mit positivem Bauvorbescheid!

Kaufpreis 448.250 €
49681 Garrel

Objektdaten

Veröffentlicht am: 18. März 2026
Frei ab: 14. Oktober 2025
  • Objektbeschreibung

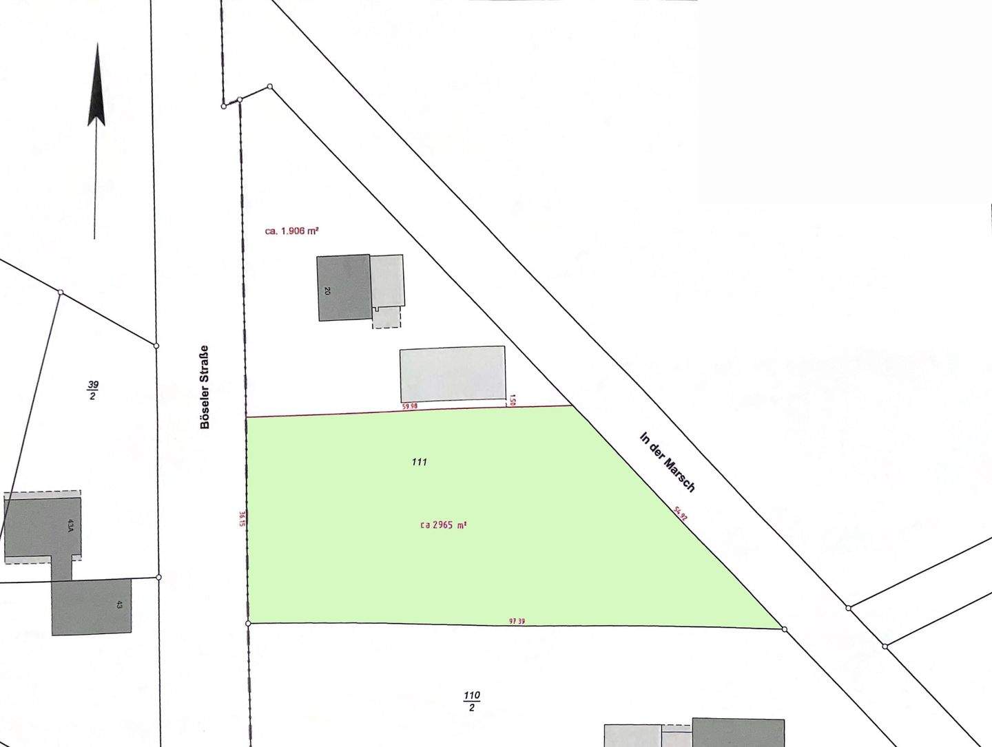
    Kurzbeschreibung - besondere Gelegenheit am Rand von Garrel- Grundstück mit viel Potenzial- Grundstücksteilung möglich- Eigenbedarf oder Geldanlage Objekt Dieses Grundstück bietet Ihnen viele Möglichkeiten! Das Grundstück befindet sich im Außenbereich, wird jedoch als Baulücke gemäß § 34 BauGB eingestuft. Für das Grundstück liegt ein positiver Bauvorbescheid zur Errichtung von zwei Wohngebäuden mit Nebengebäuden vor.Die Zufahrt muss über die Straße "In der Marsch" erfolgen. Die Wohngebäude müssen in einer Flucht mit den derzeit an der Straße "In der Marsch" vorhandenen Wohngebäude stehen. Die im Zuge der Bebauung neu zu bildenden Grundstücke sind noch zu erschließen.Die beiden Wohngebäude können in den folgenden Varianten realisiert werden:a). Errichtung von 2 Wohnhäusern mit jeweils einer Wohneinheit und Garage:- max. 156,00 m² Wohnfläche/Wohnhaus- max. 60,00 m² für die Garage/Wohnhausb). Errichtung von zwei Wohnhäusern mit je zwei Wohneinheiten mit je einer Garage- max. 240,00 m² Wohnfläche/Wohnhaus (die Wohnungen dürfen nicht gleich groß sein).- max. 120,00 m² für 2 Garagen- keine Reihenhäuser möglich- Doppelhaus nur möglich, wenn die Garagen nicht als Verbindungsbau genutzt werdenc). Errichtung von einem Wohnhaus mit einer Wohneinheit und Garage und die Errichtung von einem weiteren Wohnhaus mit zwei Wohneinheiten und zwei Garagen - siehe a). und b). .Selbstverständlich können Sie dieses besondere Grundstück auch nutzen, um Ihren privaten Wohntraum zu verwirklichen. Wir empfehlen Ihnen, Ihr Bauvorhaben im Rahmen einer Bauvoranfrage mit dem Landkreis Cloppenburg und der Gemeinde Garrel abzustimmen. So erhalten Sie frühzeitig Klarheit über die konkreten Möglichkeiten und Anforderungen. Eine Grundstücksteilung ist möglich.
    Nach oben scrollen