Objektdaten
Objektbeschreibung
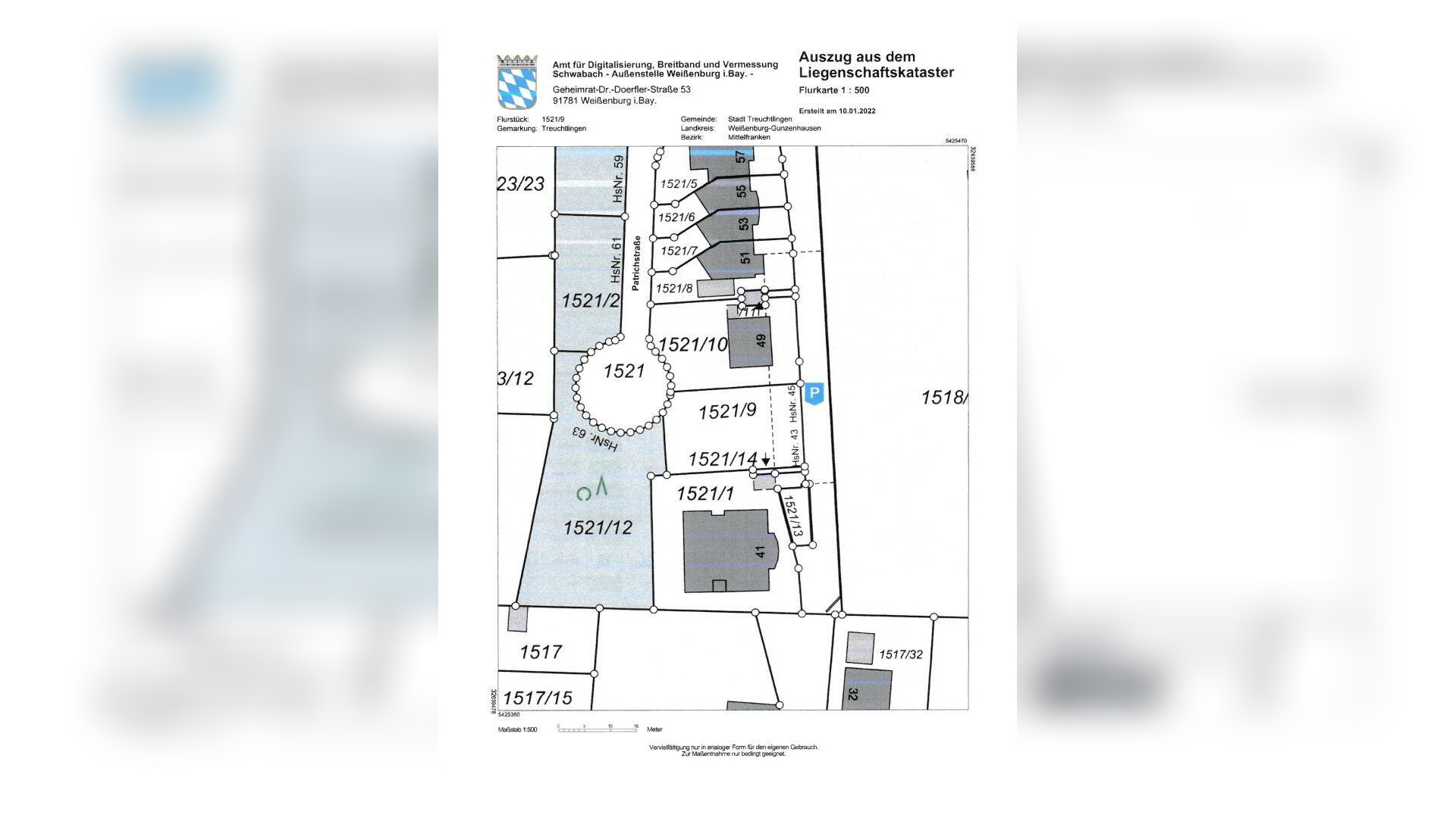
Hier finden Sie ein gut geschnittenes Grundstück in netter Umgebung in Treuchtlingen vor. Das Grundstück bietet auf 425 Quadratmetern eine GRZ von 0,4 und eine GFZ von 1,2 auf. Ein Bebauungsplan liegt vor und kann gerne eingesehen werden. Das Grundstück ist außerdem voll erschlossen und kann zeitnah bebaut werden.So funktioniert es
- Alle neuen Anzeigen matchen wir kostenlos mit Deinen Suchparametern.
- Passende Angebote senden wir Dir in einer E-Mail pro Tag.
- Du kannst auch verschiedene Suchen anlegen und Dich jederzeit abmelden. Mehr dazu




