Objektdaten
Objektbeschreibung
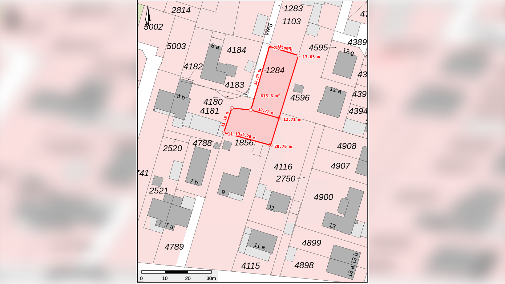
Bei diesem Angebot handelt es sich um ein ca. 600 m² großes Baugrundstück in Hinterbebauung im beliebten Siegburg-Stallberg.Aktuell befindet sich die Fläche im Hinterland eines Einfamilienhauses. Hier bieten die Eigentümer die Gelegenheit auf Trennung des Grundstücks und Abverkauf. Daraus können Sie bis zu ca. 600 m² für Ihr neues Zuhause schaffen. Eine Zuwegung und Erschließung müssten über das Grundstück der Verkäufer stattfinden. Kosten der Erschließung liegen klassisch beim Käufer. Die Bebauung kann nach §34 BauGB stattfinden und muss sich in die Umgebungsbebauung einfügen. Hier ist vielseitiges gegeben und bietet eine gute Grundlage für Sie sich zu entfalten. Hier empfehlen wir Ihnen stets die Absprache mit Architekten und zuständigen Behörden. Aufgrund der Form des Grundstücks wären beispielsweise ein moderner L Bungalow oder ein schmaleres stylisches zweigeschossiges Haus wie in direkter Nachbarschaft denkbar.Haben wir Ihr Interesse geweckt? Schauen Sie doch gerne vorab mit Hilfe unserer virtuellen 360 Grad Tour vorbei oder sprechen Sie uns an und wir finden einen passenden Besichtigungstermin. Wir freuen uns auf Sie.So funktioniert es
- Alle neuen Anzeigen matchen wir kostenlos mit Deinen Suchparametern.
- Passende Angebote senden wir Dir in einer E-Mail pro Tag.
- Du kannst auch verschiedene Suchen anlegen und Dich jederzeit abmelden. Mehr dazu




