Objektdaten
Objektbeschreibung
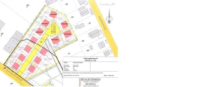
Südöstlich des Naturschutzgebietes Bäketal " befinden sich die Grundstücke um eine hufeisenförmige geplante Privatstraße in der Nähe der Tellstraße. Die Grundstücksgrößen sind 451 m² ( Flurstück 814) und 448 m² ( Flurstück 818) groß. Das Flurstück 813 wird zu einer Privatstraße ausgebaut. Die Kosten hierfür trägt jeder Erwerber zu 1/13 tel. Der Preis pro Grundstück beträgt 295.000 € zusätzlichen fallen pro Grundstück Erschließungskosten in Höhe von 35.000,00 € sowie die Teilungs.- Vermessungskosten an. Die Flurkarte bzgl. der Lage der Flurstücke finden Sie im Anhang.So funktioniert es
- Alle neuen Anzeigen matchen wir kostenlos mit Deinen Suchparametern.
- Passende Angebote senden wir Dir in einer E-Mail pro Tag.
- Du kannst auch verschiedene Suchen anlegen und Dich jederzeit abmelden. Mehr dazu




