Objektdaten
Objektbeschreibung
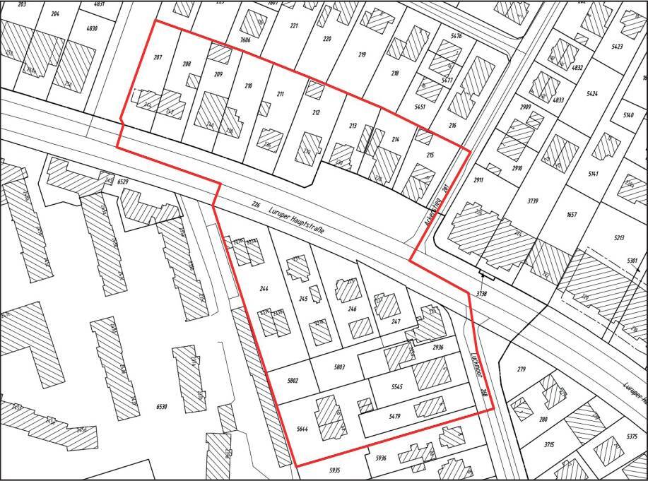
Der neue Bebauungsplan "Lurup 70" wird gemäß §13 BauGB als Bebauungsplan der Innenentwicklung aufgestellt und soll der Luruper Hauptstraße in dem betreffenden Abschnitt eine zeitgemäße Bebauung entlang dieser Magistrale ermöglichen.Aktuell ist dieser Bebauungsplan noch in der Durchführung - wird aber voraussichtlich in den nächsten 12 - 18 Monaten wirksam.Die eigentlichen Neuerungen werden sein:1.) eine Erhöhung der zulässigen Grundflächenzahl auf 0,4 und damit liegt die Anwendungsvoraussetzung für beschleunigte Verfahren vor2.) es handelt sich nun um ein Allgemeines Wohngebiet in geschlossener Bauweise (WA g III-IV) mit 4 möglichen Geschossen plus StaffelDie Baulinie und die Baugrenze sowie die Grundstückabmessungen lassen eine Grundfläche von ca. 320 qm zu, die bei 4,66 Vollgeschossen zu ca. 1500 qm BGF führt. Dies ermöglicht eine ungefähre DIN-Wohnfläche von ca. 1200 qm und je nach Wohnungsgrößen wird man hier ungefähr 20 Wohneinheiten bei durchschnittlichen 60 qm pro Wohneinheit realisieren können.Im Beschluss zur Aufstellung des Bebauungsplanes heißt es ferner, dass mit diesem nun die planungsrechtlichen Voraussetzungen für eine geordnete Nachverdichtung mit Wohnnutzung geschaffen werden.Im aktuellen Stand des Verfahrens werden die Stellungnahmen aus der öffentlichen Anhörung vom 04.12.2024 sortiert und ggf. noch geprüft, inwieweit Anpassungen am Planungsrecht sinnvoll sind.Ähnliche Angebote
So funktioniert es
- Alle neuen Anzeigen matchen wir kostenlos mit Deinen Suchparametern.
- Passende Angebote senden wir Dir in einer E-Mail pro Tag.
- Du kannst auch verschiedene Suchen anlegen und Dich jederzeit abmelden. Mehr dazu




